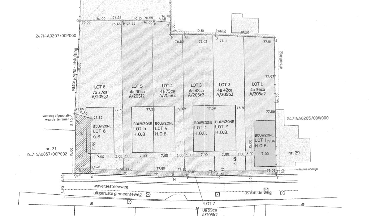
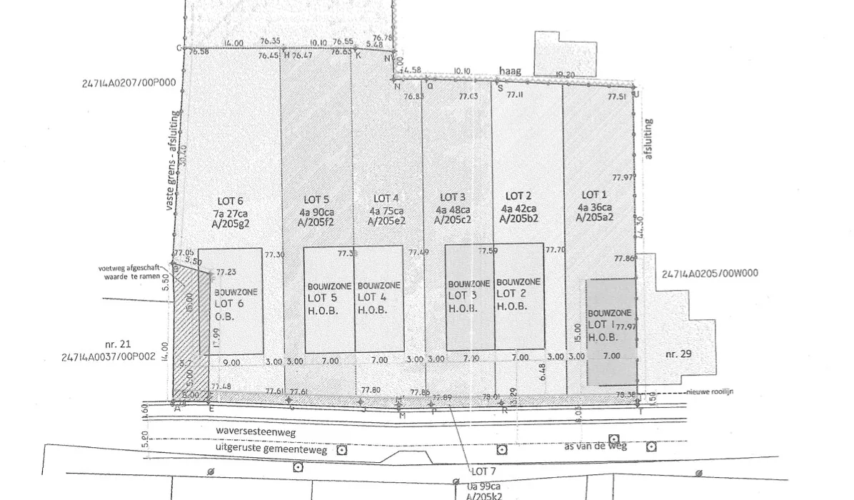
Bouwgrond voor open bebouwing met perceeloppervlakte van 6a96ca – Perceelbreedte: 15.70 m
€ 175 000
Deze bouwgrond is rustig gelegen in Neervelp, in groene omgeving. Het perceel biedt de ideale kans om uw droomwoning te realiseren.
Deze bouwgrond biedt dus ruime mogelijkheden om een functionele en lichtrijke gezinswoning te creëren, met voldoende aandacht voor buitenruimte.
Indeling en mogelijkheden volgens bouwvoorschriften:
- Open bebouwing met maximaal 2 bouwlagen + zolder verdieping
- Bouwvrije zone perceelgrenzen: 3 m
- Maximale bouwdiepte gelijkvloers: 15 m
- Maximale bouwdiepte verdieping: 12 m
- Bijgebouw mogelijk tot 40m²
Belangrijk, de kosten voor de aansluiting van de nutsvoorzieningen en riolering werden reeds betaald door de verkoper.
Het perceel is zuid-oost georiënteerd!
Het betreft lot 6 op het plan in bijlage.
Voor meer informatie, contacteer ons gerust!
Algemeen
| Adres: | Waversesteenweg 19 Neervelp |
| Referentie: | TK/04.2026 |
| Vraagprijs: | € 175.000 |
| Type: | Grond |
| Beschikbaar vanaf: | Onmiddellijk |
| Perceeloppervlakte: | 696 m² |
| Perceelbreedte: | 15,7 m |
| Perceeldiepte: | 40,95 m |
| Type constructie: | Andere |
| Gevelbreedte: | 9 m |
Indeling
| Tuin: | Ja |
| Tuin oriëntatie: | Zuid-Oost |
Comfort
| Snelweg: | Ja - op 500 m tot 1000 m |
| Treinstation: | Ja - op 2000 m tot 3000 m |
| Bushalte: | Ja - op 500 m tot 1000 m |
| Winkel: | Ja - op 500 m tot 1000 m |
| School: | Ja - op 2000 m tot 3000 m |
Wettelijke gegevens
| Kadastrale Oppervlakte: | 696 m² |
| Renovatieplicht: | Neen |
| Voorkooprecht: | Neen |
| Verkavelingsvergunning van toepassing: | Ja |
| Stedenbouwkundige bestemming: | Woongebied met landelijk karakter |
| Dagvaarding en herstelvordering: | Geen rechterlijke herstelmaatregel of bestuurlijke maatregel opgelegd |
| Overstromingsgevoelig: | Geen overstromingsgevoelig gebied |
| Overstromingsgebied: | Geen afgebakende zones |
| Overstromingskans perceel (P-score): | A |
| Erfgoed: | Geen beschermd erfgoed |